そもそも夜が遅い私、その日、9月28日は輪をかけて遅く
3時半回って4時近く。(夜ちゃうな)
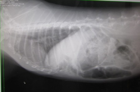
おやすみ前のおやつ、リンゴに反応せず、他のおやつにも反応せず、急変か。



夜の部屋んぽ後は普通やったし、糞もいくらか出てる。

見ようと、いったんケージへ戻したものの、
他にできることはないか、回避できるに越したことない、
頭ぐるぐるしてたら、もうあと2時間もないってのに、
ケージを下ろして、真ん前に諸々敷いて
ナデナデしながらうとうとうとうと…
茶々は時々体をゆがめてケージ内あちこち動く
半ば耳が冷たくなる時もあった。
明け方、動きはおさまり耳もぬるめ、呼吸も落ち着いてきたように思えたが
体を歪ませ表情はまだ強張ってる感じ。
6時回って、さ、朝イチ病院に備えて準備、て、してたら急に復活!?





茶々にも5日ほど飲ませました。

これ、寝るのが早かったら出くわしてなかった?
うさぎ生活長年で毎回頭をもたげる事柄だな。
「たまたま気づいただけで、
気づかないところでうさぎら、
ちょくちょく急変してやるんかなぁ…」





そんな夢の絵に一歩近づける、この手、ぜひお使い下さい
生モノ、葉もの、リンゴは食べますがニンジンはほぼ食べません。
それから…
(ーノェー)我が家、ちょっと続いてます
【for the RABBIT・別館】も覗いてみて下さいね

今週末は!
「保護うさぎさんに逢おうの会in大阪」です
for the RABBITでは保護うさぎの
預かりお世話をして頂ける方も募集中です☆
→https://kku-mj.usagirescue.com/info/5125/
また、一緒に活動してくださる仲間も募集中です☆
イベント時にお話しできるので是非お越し下さい♪
→https://usaginokitamiti.blog.jp/archives/37993311.html
よくわかっていないのでお気づきの点ございましたらお知らせ下さい
「うさぎのきた道&」
| こちらの画像リンクから楽天市場でお買い物☆ よろしくお願いしまーす☆ |












































































