3月7日、かぐらちゃんの歯の定期通院でした。
前回に続き、いろいろと処置もあり疲れちゃうね(ノ_-。)
ほんで、いきなりの余談ですみません…
ブラッシングの際にお尻、肛門辺りに固みを感じて
何か出来物、いぼ痔とかあるんやろか、とかとか気になってて…
病院ついでに診てもらったのですが、
はい、肛門付近に溜まる老廃物?臭いやつね、
それがけっこうな塊になってました
なんとなく記念に撮影しておきました((((((((( ̄∀ ̄;
かぐらさん、さほど臭わなかったんやけどなぁ…
比べてとても臭うのがミチルちゃんです…が、老廃物は溜まってないという…。
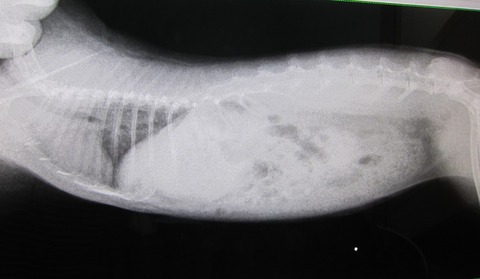
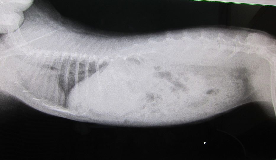
話を戻し、まずは切歯の状態から
処置前
伸びが早く感じるのと、下手に擦れてる感あり
処置後
今回は2週間寄りの間隔だったのにな…。
鼻涙管洗浄は前回同様、
白いのが最初はガっと出るが最初だけで量も多くはない。
予防的な効果の目薬(ティアローズ)が
開封から日が経ってきたのだが、使用頻度は少ないし、
変更するかもなので、また日を改めて相談ということに。
臼歯のチェック
処置室でしそびれたということで、診察室で
抜歯した左側、舌に白いのが付着してたので、見当つけた場所を少し触ると膿が出た、と。
左側上の残る1本はかなり奥に位置し、
膿が出たのはそれより手前、歯のないところから。
上なので、左側の涙とも関係してるんだろうな…。
そういえば、最近、サプリメント(半錠)を与えた時、
食べながら?ゲボっ みたいな音を聞いてる、関係あるかなぁ…
(半分の半分、4分割の大きさで与えるよう変更してから音は聞いてない)
この日は待ち時間も長かったし?
さすがに帰宅すぐでも遅めの晩ご飯となったが、食べきるまで時間かかってた。
2,3日は、ペレットの次に与えてる牧草ペレットも、
いつものようば勢いがなく、お口の中の悪化も懸念したが、
微々たる変化、にまで、戻ってきたので様子見中。
次回は、普段の主に食生活に関して、ちと相談もしてみよう。
これから春、そして梅雨に夏、
じめじめ不快指数マックスの悪化しやすい季節を迎えるしな…
頑張ろうね
【だるまうさぎレスキュー・別館】も覗いてみて下さいね

『手作り雑貨と保護うさぎ Vol.2』
3/15(日) 詳しくはイベントブログにて

多くのうさぎが里親募集されています。
お迎えの際はぜひご検討下さい
里親募集という選択肢があること、多くの方に知ってもらうため
保護うさぎさんたちへのチャンスが広がるよう…
保護うさぎさんたちへのチャンスが広がるよう…

Facebookページではブログの更新情報プラスαを発信しています










































