この年末年始は体調崩したうさぎさん、多かったように思います。
預かりさん宅でお世話いただいてるカレンくんもその一人…
12月28日、ご飯は完食、部屋んぽでハッスル、
いつも通りの元気さんでしたが、急変、
深夜になり様子がおかしいことに気づく。
いつものベッドで何度も向きを変えたり落ち着かない様子。
息の上がりはそこまでではないものの…
色々対応しながら一晩様子を見ていただきましたが改善なく
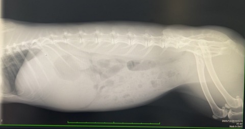
12月29日、通院。
レントゲンと血液検査
胃拡張診断で点滴対応の日中入院となりました。
夕方、胃腸のガスが動いてて
胃の張りもマシになってきたので、しっかり投薬点滴をしてもらって退院
カレンくん、場所見しり人見知りあまりしないタイプのようで
病院の処置室ではチョロチョロ動いてたようです。
また、しんどうそうな雰囲気は脱してました、とのこと。
帰宅後は日中の疲れからから、トイレで休憩しながらも
牧草をポツポツ食べ始め、夜中のうちにペレットや野草類も食べ
形の悪い糞たちも出せました。
12月30日、朝ご飯は時間をかけてなんとか完食、
牧草もポツポツ食べていましたが、ぶり返しも怖いので、
予防を兼ねて点滴通院していただきました。
以降は投薬をしっかり頑張っていただき、
年が明けて2日3日には完全に通常運転に戻りました
いやぁ~、この年末年始は急激な寒さ…やったっけ?
病院などいろんな日常がイレギュラーになるので、
人それぞれ良し悪しですが、ほんと、ドキドキですね。

預かりさんのInstagramはコチラです
https://www.instagram.com/azukari_rabb_log/
【for the RABBIT・別館】も覗いてみて下さいね
マルシェ
と譲渡会
のコラボイベント
「手作り雑貨と保護うさぎ」Vol.7開催

詳しくはイベントブログにて
ここをタップ
「うさぎのきた道」欲しいものリスト始めました
SUZURIにてオリジナルグッズを販売しています
「うさぎのきた道&」
画像をクリック
Facebookページ「うさぎのきた道&」では
ブログの更新情報プラスαを発信しています

これも予防策?部屋んぽ中に進呈してます。
放置してたら案外食べる、そして糞が黒から黄金色に!?
預かりさん宅でお世話いただいてるカレンくんもその一人…
12月28日、ご飯は完食、部屋んぽでハッスル、
いつも通りの元気さんでしたが、急変、
深夜になり様子がおかしいことに気づく。
いつものベッドで何度も向きを変えたり落ち着かない様子。
息の上がりはそこまでではないものの…
色々対応しながら一晩様子を見ていただきましたが改善なく
12月29日、通院。
レントゲンと血液検査

夕方、胃腸のガスが動いてて
胃の張りもマシになってきたので、しっかり投薬点滴をしてもらって退院
カレンくん、場所見しり人見知りあまりしないタイプのようで
病院の処置室ではチョロチョロ動いてたようです。
また、しんどうそうな雰囲気は脱してました、とのこと。
帰宅後は日中の疲れからから、トイレで休憩しながらも
牧草をポツポツ食べ始め、夜中のうちにペレットや野草類も食べ
形の悪い糞たちも出せました。
12月30日、朝ご飯は時間をかけてなんとか完食、
牧草もポツポツ食べていましたが、ぶり返しも怖いので、
予防を兼ねて点滴通院していただきました。
以降は投薬をしっかり頑張っていただき、
年が明けて2日3日には完全に通常運転に戻りました
いやぁ~、この年末年始は急激な寒さ…やったっけ?
病院などいろんな日常がイレギュラーになるので、
人それぞれ良し悪しですが、ほんと、ドキドキですね。

とても無邪気なカレンくん
ホントのおうち探し中です
預かりさんのInstagramはコチラです
【for the RABBIT・別館】も覗いてみて下さいね

マルシェ
「手作り雑貨と保護うさぎ」Vol.7開催

詳しくはイベントブログにて
「うさぎのきた道&」
Facebookページ「うさぎのきた道&」では
ブログの更新情報プラスαを発信しています

里親募集という選択肢があること、多くの方に知ってもらうため
保護うさぎさんたちへのチャンスが広がるよう…
保護うさぎさんたちへのチャンスが広がるよう…

これも予防策?部屋んぽ中に進呈してます。
放置してたら案外食べる、そして糞が黒から黄金色に!?
| ↑クリックで楽天市場へ飛びます、そのまま楽天市場でお買い物していただくと ポイントが別途「うさぎのきた道」へ寄付されます☆ お買い物は掲載商品に限りません☆ アフィリエイトへのご協力よろしくお願いしますm(_ _)m |






コメント